NorthAmericanInterlockings: photo photo photo
Chicago and Northern Indiana Railroad Interlocking Towers (click the marker for the correct information)
This tower is also known as the EJ&E Rock Island Tower.
David Haynes story about working here in the Summer of 1963.
(Update: Kevin Piper posted a history and some images about this tower.)
July, 2017: this is a complete rewrite. It is basically the same content but, hopefully, it has a better organization.
Mar, 2020: this is yet another rewrite. The MC Tower info has been moved to its own notes file and these notes are now just for the JC (Rock Island) Tower.
July, 2017: this is a complete rewrite. It is basically the same content but, hopefully, it has a better organization.
Mar, 2020: this is yet another rewrite. The MC Tower info has been moved to its own notes file and these notes are now just for the JC (Rock Island) Tower.
![]() |
| Mark Llanuza posted Its the year 2009 southbound leaving Joliet IL Dennis DeBruler This photo was taken from south of Hickory Creek with a rather long telephoto lens judging form the distance compression. You can see the Metra/Rock Island tracks north of the fence that protects the signalling control boxes. The turnout is for a crossover. Michael Steffen The Tower was manned by a J Operator/Telegrapher until it was remote controlled from the Dispatcher’s Office. In addition to the Rock Island the interlocking controlled the J/Michigan Central crossing which was located about 150 yards south (J timetable East) of the Rock Island tracks. In addition this interlocking allowed Milwaukee Road trains to leave J trackage and enter their own, also south of this photo. Mark posted again |
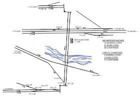
Since I used to confuse the MC and JC (Rock Island) Towers, I show both of them on this topo map using a blue rectangle for MC and a red one for JC. The JC tower controlled the RI and the MC crossings of the EJ&E. The RI tracks were north of the tower and the MC tracks were south of Hickory Creek, which was south of the tower. In fact, Mark must have been standing close to the MC RoW when he shot the above photo. Because Michael Steffen's comment above indicated this tower also controlled the Milwaukee/Chicago, Milwaukee & Gary connection with the EJ&E, I extended the topo excerpt south to include the CM&G connection.
Using the same color convention, I mark the MC and JC towers on this historic aerial.
Since the Rock Island train is on the far tracks, this view is looking north along the EJ&E. I'll later discuss the track that is on this side of the tower. Below I zoom in on the bank of signalling pipelines because I think it is the widest bank I have ever seen. According to David Haynes Track Diagram, this tower not only controlled the crossing with MC and the connection with the CM&G, it controlled a couple of crossovers between the two EJ&E tracks. No wonder there are so many pipelines coming from the tower.
Note how the pipelines for the two semaphores first went south, crossed under the EJ&E double track, and then went back north to the base of the semaphore mast.
![]() |
| 1954 Joliet Quadrangle @ 1:24,000 |
![]() |
![]() |
| John Garf posted Rock Island train at "JC" Tower in Joliet, IL - 1928 Chris Lajcin also posted with the comment "looking north towards the yard." And Brian Skrabutenas has posted
Brian Skrabutenas Nope, original structure and brick was laid around it. I saw some brick falling off at one of the corners and the original wood structure was intact.
[I recognize this as Henry Wilhelm's 1928 photo.] |
![]() |
| Digitally zoomed in on Henry's photo |
| Digitally zoomed in on Henry's photo |
![]() |
| Barriger Will Rasmussen: EJE tower to the far right. Cool. |
Chris Lajcin posted two photos of the "Rock Island Tower."
I include Eric's copy because it is a brighter exposure.
This view along the EJ&E is looking south. The tracks on the other side of the bridge is the NYC/Michigan Central/Joliet and Northern Illinois. I can understand why there would be a lot of signalling pipelines coming out of the tower. But I don't understand why so many of them are going south of Hickory Creek. Brian's comment for this picture is: "EJ&E Extra West bound on main 2 crossing the MCRR approaching the middle set of the three crossings." (That comment is from my original version. I can't find that comment now.)
![]() |
| 1 William O'Neal Stringer Minus the pipes to throw switches for the people who are wondering. |
![]() |
| 2 John Sickel III posted EJ&E's big Baldwin DT66-2000/#914 passes interlocking at Rock Island Tower. The train has passed over the Rock Island and is about to cross the New York Central at the Joliet Illinois branch. 6 Nov 1965. Courtesy of EJ&E archives. Dale Vincentovich Martin Signals were electric, the switches and locks were manually operated....loads of fun on a hot day. : Zak Hill The only DT6-6-2000 still running is at the IRM Kevin Piper posted EJ&E 914 passes Rock Island Tower as it departs Joliet, IL, on 11-6-65. LOUIS CERNY PHOTO/KEVIN PIPER COLLECTION |
![]() |
| Eric Berg posted Eastbound EJ&E #914 comes by Rock Island tower on November 6, 1965. Photographer unknown. (EJ&E controlled, now CN) |
![]() |
| Zachary C. Gillihan commented on Chris' post http://rrsignalpix.com/tower_ri.php Rock Island Tower was maintained and operated by the Elgin, Joliet & Eastern Railway. Rock Island Tower housed a electro-mechanical interlocking which consisted of a 68 lever Saxby and Farmer Machine and a 12 lever Union Switch and Signal Model S-8 machine. The Saxby and Farm Machine had 26 active levers and 42 spare levers, the US&S S-8 Machine had 9 active levers and 3 spares. The S-8 Machine was used to control the signals for the Rock Island Lines. It is unknown to what happened to both machines after the tower closed, a local claimed to have scrapped it. The tower was tore down on March 23rd, 2010 at 0900 hrs by CNRR. [P.C.RR. must mean Penn Central. This track was Michigan Central then NYC before it was PC. The link has a lot of photos after it was abandoned but before it was torn down.] |
![]() |
| Chris Lajcin posted Rock Island tower circa 1991 Bill Grenchik And that was a wood siding at one time they added the brick later. |
This view along the EJ&E is looking south. The tracks on the other side of the bridge is the NYC/Michigan Central/Joliet and Northern Illinois. I can understand why there would be a lot of signalling pipelines coming out of the tower. But I don't understand why so many of them are going south of Hickory Creek. Brian's comment for this picture is: "EJ&E Extra West bound on main 2 crossing the MCRR approaching the middle set of the three crossings." (That comment is from my original version. I can't find that comment now.)
![]() |
| John Garf posted EJ&E train at "JC" Tower in Joliet, IL - 1928 Chris Lajcin also posted with the comment "looking south to Washington Street." Ray Peacock Check out our the “ties” over the rods in that crossing track. Also white flags on engine, small pot signal of some type on the right.. so much to study. Brian Skrabutenas posted EJ&E Extra West bound on main 2 crossing the MCRR approaching the middle set of the three crossings. Darren Reynolds posted Look at all that pipeline!!! Taken from "JC" tower in Joliet, Illinois Sorry no other info for this photo Jon Roma: That is the Elgin, Joliet & Eastern crossing the Michigan Central and Chicago, Rock Island & Pacific, the latter two lines being the parallel horizontal tracks in this image. The tower was closed in the Eighties, but the tower stood tile the 2010s. Here's the location today. Joe Millspaugh: Holy moly that looks almost as heavy as State Line tower. A signal maintainers nightmare right there! Jon Roma: This tower isn't anywhere close to the size and complexity of State Line, or any of the other truly large towers in the Chicago area, though it's no slouch at 80 or so levers. The early generation of signalman had to be proficient as a lamplighter, pipe fitter, and blacksmith. The electrical components came later, and eventually the electronics (and ultimately the computers) eliminated most of the mechanical components. |
It is now time to discuss that track that was just south of the tower in John's first photo. I believe the track in the foreground of John's second photo is the same track. This "middle track" does not exist in the 1924 map.
Back in the horse-and-buggy days there was probably an industry west of the EJ&E tracks that was served by the Rock Island and that middle track was an industrial spur. I used a green rectangle on the 1939 photo to indicate what looks like the remnants of that middle track. In fact, the access road to a storage lot is probably on that spur's RoW.
Mark Llanuza posted four photos of the JC Tower with the comment: "EJ&E Joliet Tower four views in 2009 and the one in 1978 still had some windows left."
Dennis DeBruler Mark Llanuza The third photo is of the Rock Island MC Tower rather than the EJ&E JC (Rock Island) Tower.
![]() |
| At photo resolution |
![]() |
| Satellite |
Dennis DeBruler Mark Llanuza The third photo is of the Rock Island MC Tower rather than the EJ&E JC (Rock Island) Tower.
![]() |
| 1 |
![]() |
| 2 |
![]() |
| 3 |
![]() |
| 4 |
![]() |
| Steven Brown posted [The other side from the cab of an IAIS train.] Perter Zimmerman posted
Joliet Illinois:
The EJ&E Railway tower that guarded the crossing with the Rock Island also controlled the crossing of the Michigan Central Joliet branch. Also just south of the tower, and maybe also in its area of control was the switch of the Milwaukee Road's line from Joliet to Delmar[near Momence], as well as at one time a C&A branch that ran from South Joliet yard to the J.
Today the tower is gone, the Michigan Central line was abandoned by Conrail in 1977, the Milwaukee Road line was abandoned in July 1978 and the C&A/GM&O line was abandoned sometime in the 1960's apparently.
The Rock Island is today the Metra Rock Island district and the EJ&E Railway is the CN Railway and the interlocking is handled remotely by the Metra "Rock Island Road" dispatcher in Chicago.
Photo by Steven J. Brown
|
![]() |
| Stan Sienicki posted EJ&E E/B at the ROCK in Joliet, IL. with SD38-2 657 and SD38 654 April 1988 |
![]() |
| HalstEd Pazdzior posted A westbound Q train holds on the CN Matteson Subdivision outside of Joliet Yard while an outbound Metra crosses on the Rock. 1/24/21 |
![]() |
| Dennis DeBruler commented on HalstEd's post It appears the connector and its turnout has been removed since this image was taken in Sep 2019. |























The CRI&P was re-aligned from when it ran through Joliet streets, to when it became elevated ? There is also Milwaukee Road that came across Washington Street through a bowling alley parking and city water plant onto the CRI&P...did they have a tower?
ReplyDeleteThe Rock Island was re-aligned. That is one reason Joliet pushed for elevation. The RI's track originally ran diagonally across a corner of the courthouse square. Milwaukee Road owned the Chicago, Milwaukee & Gary. It used the EJ&E between Joliet and Aurora. In came into Joliet from the south on what is now the Wauponsee Glacial Trail and joined EJ&E just south of Washington. Where was the bowling alley and water plant? http://industrialscenery.blogspot.com/2015/09/illinois-iowa-minnesota-railway-and.html
ReplyDelete