Manhattan: (Satellite, Pier 66 had their ferry dock)
B&O passenger trains used the Reading Railroad and the Central Railroad of New Jersey to get to CNJ's passenger ferrys in Jersey City. But B&O had a ferry station on Manhattan for freight cars. Some freight trains were handled by CNJ ferries from Jersey City. Other freight trains were handled by B&O's ferries from their docks on Staten Island.
![]() |
| Jack Bobby Lou Mulreavy updated B&O 26th st freight terminal and freight stations located in Manhattan NY. Building still stands. Jon Gilbert That is the Starrett–Lehigh Building in the background and you can see a small Ingersoll Rand(?) oil electric locomotive in the upper left corner of the picture. Great shot! Starrett-Lehigh Building Steve Hanlon Jon Gilbert most likely B&O 195, and Alco diesel-electric, which still survives in St Louis. Steve Hanlon fantastic photo, anyone happen to notice the boxcab center left? this was taken in 1951 so that means it's B&O 195. it is preserved in St Louis. super cool. Da Coz 'bet that was a midnight switch job with the street crossing. |
![]() |
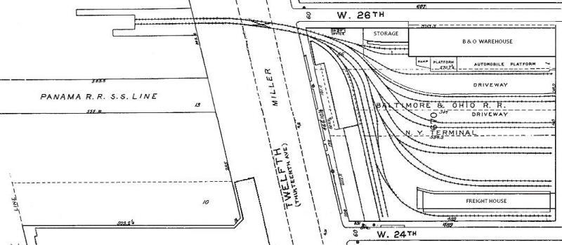
| Jack Bobby Lou Mulreavy commented on his post Track map to illustrate proximity to the waterfront float bridge |
![]() |
| Jack Bobby Lou Mulreavy commented on Steve's comment |
![]() |
| Comments on Jack's update |
![]() |
| Dennis DeBruler commented on Jack's comment I have wondered where the B&O passenger trains terminated. 1947 Jersey City Quadrangle @ 1:24,000 |
![]() |
| Dennis DeBruler commented on Jack's comment And now I understand the purpose of the Arthur Kill Bridge. 1947 Jersey City Quadrangle @ 1:24,000 |
B&O assumed control of the railroad on Staten Island, Staten Island Rapid Transit (SIRT (source)), and formed the Baltimore & New York Railway to construct a connection between CNJ tracks and the railroad on the Staten Island. That connection included a 500' span, steam-powered swing bridge over the Arthur Kill. (When completed in 1888, it was the longest of its type in the US.) "Over on Manhattan Island, the B&O was finishing up its New York project with a car float bridge and small yard at West 26th Street. By early 1890, the yard was in operation. The freight at first was delivered from Jersey City and later from St. George on Staten Island....Completion of this project was no cause for celebration. By February 1896, the B&O found itself bankrupt. While paying dearly to reach New York, the B&O had neglected its western lines that were now in poor condition. In an attempt to refinance, J. P. Morgan intervened and replaced B&O’s top management. By 1900, the B&O was put under the control of the Pennsylvania Railroad, which made a number of improvements to the road. The PRR allowed the newly-developed New Jersey, New York and Staten Island properties to remain intact....Within a few years the B&O was profitable again and emerged from PRR control as a stronger railroad. By the 1910’s, Staten Island was showing its shortcomings in handling B&O freight. Both Arlington and St. George Yards were choked with cars, many awaiting car float transport to West 26th Street and other connections around the harbor. To ease the load on Staten Island by 1912, the B&O again ran through freight into Jersey City on the Jersey Central. Staten Island would continue to be used as well and developed a heavy coal trade for the B&O. Staten Island’s deep water piers never generated traffic of the size experienced along the East and Hudson Rivers except in wartime." In the early 1980s, now part of the Chessie System, B&O terminated its freight service to New Jersey and NYC. [jcrhs]
![]() |
| Dennis DeBruler commented on a share The 1959 Arthur Kill bridge on the west side is the longest lift span in the world at 558'. The B&O ferry dock appears to be the northernmost of the docks on the east side. 1947 Eliazbeth and Jersey City Quadrangles @ 1:24,000 |
| Jack Bobby Lou Mulreavy updated B&O terminal on Staten Island showing freight yards and passenger operations by SI Rapid Transit. Marc Pitanza: St George on the SIRT. Freight traffic in the back is sorted and moved by parent B&O. Brian A Morgan: Saint George Terminal Staten Island. Philip M. Goldstein: New York Transit Museum Would kindly correct the following errors in caption: Taken in 1959, this #NYTMCollection photograph shows an aerial side view of >> locomotive (not car number) 9027 (not 9827) of the SIRT (Staten Island Rapid Transit) Railway Company at St. George freight yard in #StatenIsland. Tracks can be seen extending past the land onto a float bridge. Float bridges, which are still used today, function as a means to move rail cars onto car floats. Car floats are used to move rolling stock over water, where it can link up with tracks on the other side. >> Because they do not have their own source of power, carfloats (not float bridges) are pulled by tugboats. (Float bridges are anchored to the land, therefore they are not moved by tugboats) [The float bridge mistake bothered me.] |
![]() |
| New York Transit Museum posted Taken in 1959, this #NYTMCollection photograph shows an aerial side view of car number 9827 of the SIRT (Staten Island Rapid Transit) Railway Company at St. George freight yard in #StatenIsland. Tracks can be seen extending past the land onto a float bridge. Float bridges, which are still used today, function as a means to move rail cars onto car floats. Car floats are used to move rolling stock over water, where it can link up with tracks on the other side. Because they do not have their own source of power, float bridges are pulled by tugboats. The photograph shows several freight cars labeled “B&O.” At the time the image was taken, the SIRT had been carrying freight for the B&O (Baltimore & Ohio) Railroad since the 1880s, when the two partnered to build Staten Island’s railway infrastructure. The B&O wanted access to New York and this was its way in. In 1899, the B&O bought the SIRT outright, and continued freight operations it until sold the SIRT to the Metropolitan Transportation Authority - MTA in 1971. |
![]() |
| James Loveless comment on the New York Transit Museum post |
![]() |
| James Loveless comment on the New York Transit Museum post |
![]() |
| James Boudreaux posted Baltimore & Ohio ALCO S2 #9123 is spotted at St. George Ferry Yard Staten Island, NY...6/72...from the K. Landess / TMB Collections John Pitarresi: Worked there from 1971-1974 as a brakeman / conductor and loaded many floats there. Probably around the time I was there with the World Trade Center in the background. Moved on to the Penn Central in 1974 to become a locomotive fireman / engineer and retired in 2010 with nearly 40 years of service and it all started when my unemployment insurance ran out in 1971 and they said at the office you want a job on the railroad kid! Daniel Cory: Surprised to see so much freight business as late as 1972. Thushara Gnwdn: https://www.silive.com/.../b_o_railroad_had_strong... |
![]() |
| Jonathan Samenka commented on James' post |
![]() |
| Jonathan Samenka commented on James' post |














No comments:
Post a Comment